Ausschließlich für Kapitalanleger!


















- Objekttyp
- Reihenend
- PLZ
- 47661
- Ort
- Issum
- ImmoNr
- 009-02646 REH
- Wohnfläche
- ca. 280 m²
- Grundstücksgröße
- ca. 668 m²
- Anzahl Zimmer
- 10
- Kaufpreis
- 404.000,00 €
- Baujahr lt. Energieausweis
- 1890
- Käuferprovision brutto
- 3,57 % (inkl. MwSt.)
Beschreibung
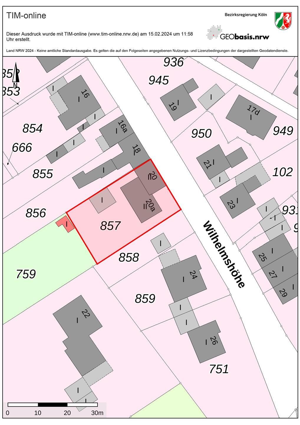
Immobilien-Komplex mit zwei Garagen in 47661 IssumAusschließlich für Kapitalanleger!
Dieser interessante Komplex wurde ursprünglich um 1890 (Baujahr laut Energieausweis) in teilweise unterkellerter Massivbauweise erstellt und ist aktuell vollständig vermietet. Insgesamt gibt es hier drei Wohneinheiten in einem Zwei- und einem Einfamilienhaus.
Das ca. 668 m² große Grundstück ist nach Süd-West ausgerichtet. Zwei Garagen, mehrere Kfz-Stellmöglichkeiten sowie Sitzgelegenheiten runden das Außenangebot perfekt ab.
Die Wohnfläche von insgesamt ca. 280 m² teilt sich wie folgt auf:
Wohneinheit I - Haus Nr. 20 (ca. 110 m²)
Erdgeschoss: Wohn- und Esszimmer, Küche, Flur, Gäste-WC, Schlafzimmer I
Obergeschoss: Schlafzimmer II, Schlafzimmer III, Flur, Bad
Wohneinheit II - Haus Nr. 20 a: (ca. 90 m²)
Erdgeschosswohnung: Wohn- und Esszimmer, Küche, Flur, Bad, Schlafzimmer I, Schlafzimmer II, Abstellraum
Wohneinheit III - Haus Nr. 20 a: (ca. 80 m²)
Obergeschosswohnung: Wohn- und Esszimmer, Küche, Flur, Schlafzimmer I, Schlafzimmer II, Abstellraum
Zuletzt in den 1980er Jahren wurden Sanierungen im Haus Nr. 20 vorgenommen. Geheizt wird hier noch mit einer Nachtspeicherheizung. Die Kunststofffenster besitzen Isolierverglasung. Die Einheit ist in einem modernisierungsbedürftigen Zustand.
In den anderen beiden Wohneinheiten wurden neue Gasthermen eingebaut, das Badezimmer im Erdgeschoss ist saniert und teilweise wurden neue Kunststofffenster mit Isolierverglasung eingebaut.
Der gesamte Immobilien-Komplex ist vermietet. Die jährlichen Kaltmieteinnahmen belaufen sich auf 15.480,00 €. Die Mieten liegen unter dem üblichen Marktpreis; in den letzten Jahren wurden keine Anpassungen vorgenommen.
Dieses Objekt in schöner Lage kann von einem Kapitalanleger nach individueller Terminabsprache übernommen werden.
Der Gesamtkaufpreis beträgt 404.000,00 € zzgl. 3,57 % Käuferprovision (inkl. 19 % MwSt.).
Lage
Die Gemeinde Issum verfügt über einen attraktiven Ortskern. Einkaufsmöglichkeiten für den täglichen Bedarf sowie Ärzte sind schnell zu erreichen. Zudem gelangen Sie über die nahen liegenden Autobahnen bequem nach Nijmegen oder Köln.Energieausweis
- Endenergiebedarf
- 228,2 kWh/(m²a)
- Energieausweis
- Bedarfsausweis
- Energieausweis gültig bis
- 02.04.2034
- Energieeffizienzklasse
- G
- wesentlicher Energieträger
- Gas
Ausstattung
- Massivbauweise- Kellernutzräume
- Süd-West-Ausrichtung
- Komplett vermietet
Weitere ähnliche Immobilien
Ihre Unterlagen zur Immobilie anfordern
Seiten: 1





